国庆期间在小野塘作钓,取得丰收。上周由于调休,只放一天假,我又别出心裁地想去安基山水库看看,结果搞了一上午,空军。
这周想想,还是去小野塘吧!
记得今年九月份的时候,桂花已经开过一次了,也许是今年气温高的原因,上次来的时候,塘边的桂花已经第二次挂满花苞 。今天来的时候,老远就闻到阵阵沁人心脾的清香。
果然,塘边的桂花全部开放了。
此野塘地处花木园林的中间,四周都是各式各样的树木,桂花特别多。
在这样的地方作钓,简直是一种享受啊!

打好窝,准备挂线组的时候突然发现传统钓的线组盒没有带。幸亏台钓的渔具包带过来了。所以只好选了一付3.9的线组来使用。
调一目,钓三四目。
首先使用的是上次用剩下的一点红虫,探探情况。
下去就有口,从漂相上看,就知道是小麦穗。
而且今天的麦穗感觉还比较多,上来就搞,空了好多次竿以后,才开始上鲫鱼。



鲫鱼进窝了,麦穗的口好像少了些。
鱼情相当地好。
从漂相上就可以知道是什么鱼。麦穗总是拉着就跑,而鲫鱼总是动几下然后送漂。



双飞频频。



这双飞的手感可以,大的有三两了。


我的午饭。


所剩的红虫不多,一会就用完了。于是我又换成了蚯蚓。
口还是很好。
听说摇三摇对付小杂鱼很牛逼,所以刚买了一套,刚好今天用来试试效果。别说,用了之后,杂鱼的确不怎么折腾了,但是鲫鱼的口也不见了。
所以算了, 还是换成蚯蚓吧!



当鱼口渐渐稀的时候 ,我又去旁边打了一个窝子。过会把主阵地转移到了第二个窝子上。
一样的鱼情。
我觉得用红虫和蚯蚓还是有区别的,用红虫的时候,可以说是双飞连连,但自从用了蚯蚓后,虽然也鱼口不断,但却一次双飞也没有遇到。



钓了一条独眼龙,活得不容易啊!因祸得福,还是放流吧!




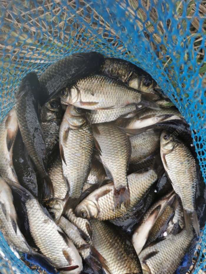
最后鱼获有好几斤,相当过瘾。


看见满树的桂花,我决定搞点桂花米,以后做年糕。
这里的桂花各种品种都有。
丹桂、金桂、银桂。









逸远居士原创首发